Estimated read time: Less than a minute
This archived news story is available only for your personal, non-commercial use. Information in the story may be outdated or superseded by additional information. Reading or replaying the story in its archived form does not constitute a republication of the story.
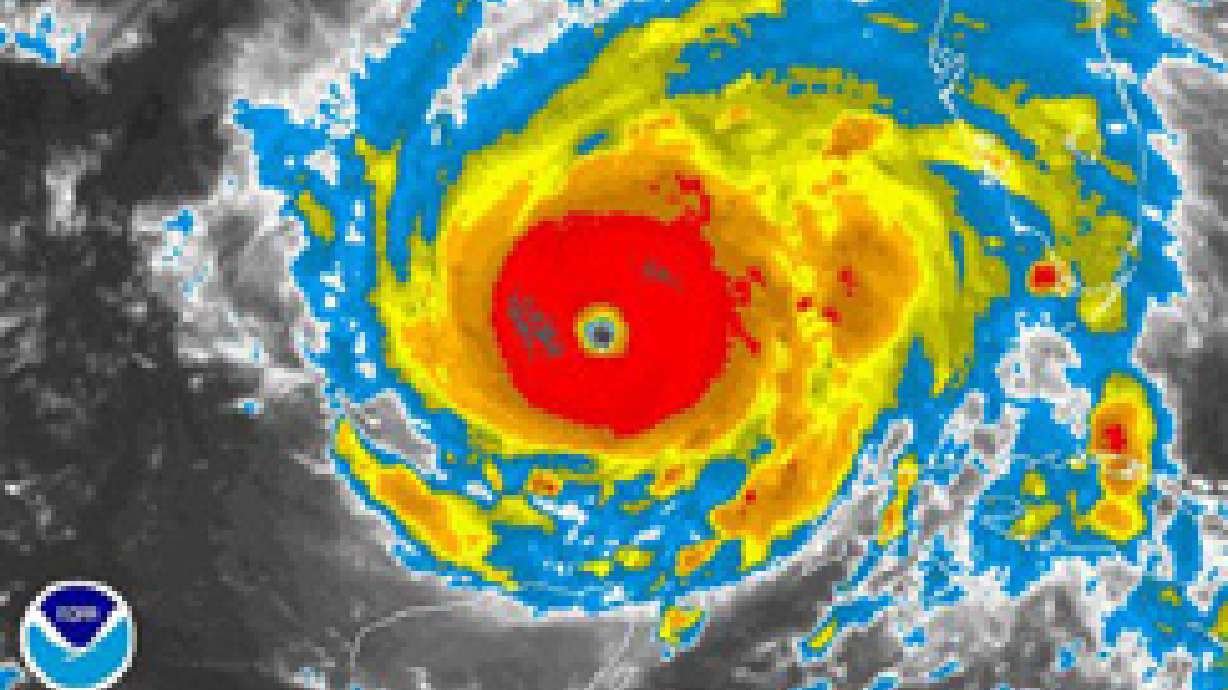
(KSL News) -- The Church of Jesus Christ of Latter-day Saints sent relief to the victims of Katrina and is ready to step up again in the wake of Hurricane Rita.
The Church has supply trucks and cleaning kits already on the way.
Garry R. Flake, LDS Humanitarian Emergency Response: "Just saying there's somebody who cares about you and here we are. ANd somebody's saying, well then, maybe I can make it."
Church volunteers have spent more than 70-thousand hours cleaning up the Gulf Coast.









